中度颱風「楊柳」逼近台灣,7級風暴風半徑還在擴大中,明 (13) 日恐從南花蓮至台東登陸。對此,中央氣象署在今 (12) 日下午2點30分發布陸上颱風警報,首波警戒範圍也出爐了!
示意圖,翻攝自pexels
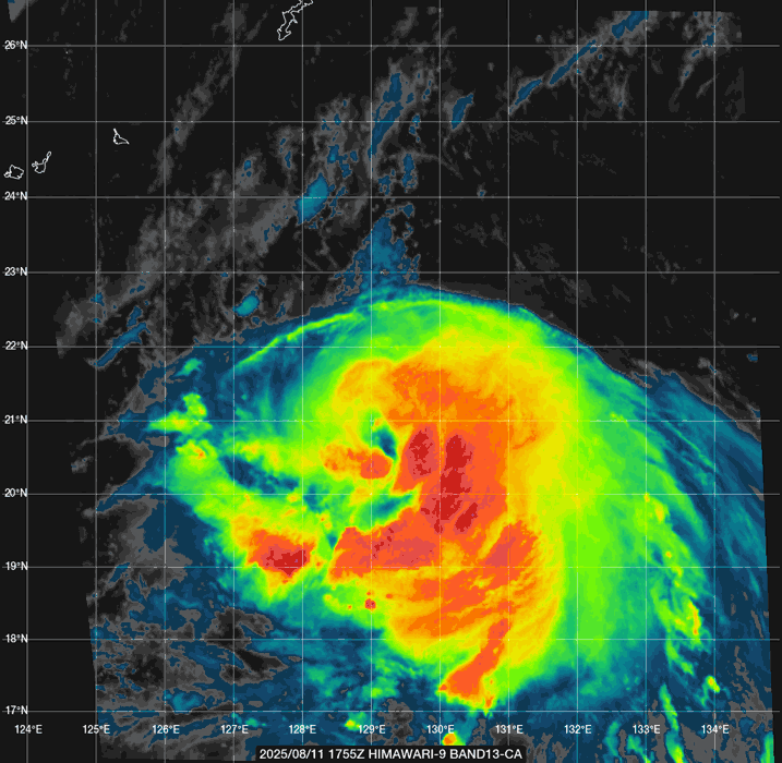
根據《中時新聞網》報導,中央氣象署科長劉宇其表示,中度颱風「楊柳」今 (12) 日上午11點位於台東東南東方海面,預估明 (13) 日中午前後登陸台東附近,同日傍晚至入夜進到台灣海峽,晚間至週四 (14日) 清晨進入中國。

翻攝自中央氣象署,下同
劉宇其提醒,今 (12) 日下午2點30分,中央氣象署已發布陸上颱風警報,首波警戒範圍涵蓋花蓮、台東、高雄及屏東。
至於天氣部分,劉宇其指出,今 (12) 日各地天氣晴朗穩定,西半部及山區有午後雷雨,入夜雨勢緩和,但受中度颱風「楊柳」的水氣影響,北部、東半部降雨逐步增大;明 (13) 日白天颱風通過台灣本島,造成的影響最大,東半部、嘉義以南及澎湖有局部大雨、豪雨,花蓮、台東、南部山區可能出現豪雨以上等級的降雨,金門擇要入夜後雨勢才會較明顯。

最後, 劉宇其警告,隨著中度颱風「楊柳」靠近,各地陣風也會越來越明顯,台東、雲林以南及澎湖部分地區,陣風恐達到11級,台東、綠島、蘭嶼等地,距離颱風中心更近,將出現14級以上陣風。

至於未來的天氣狀況如何?何時風雨最大?來看看中央氣象署的預報員林定宜怎麼說!

翻攝自easterlywave
根據《ETtoday新聞雲》報導,林定宜指出,陸上警報可能在今 (12) 日午後發布,明 (13) 日風雨最明顯,中度颱風「楊柳」未來可能還有稍增強的趨勢,在接近台灣、未登陸前是最強時候……【更多內容請見下方延伸閱讀】

翻攝自中央氣象署
(往下還有更多精彩文章!)