強烈颱風樺加沙暴風圈在今 (22) 日上午11點已接觸到恆春半島,下午至明 (23) 日是颱風最接近台灣,也是風雨影響最劇的時刻,氣象署最新風雨預報出爐。

圖片來源 / 翻攝自中央氣象署,下同
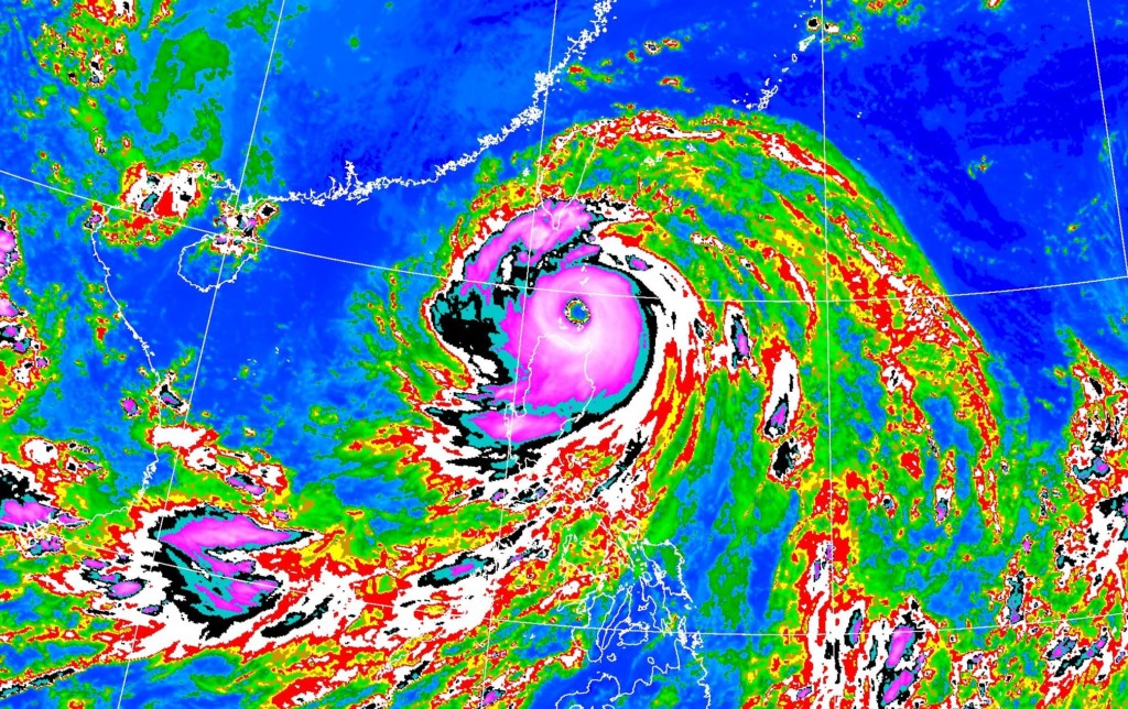
根據媒體《鏡週刊》、《ETtoday新聞雲》的報導,中央氣象署指出,強颱樺加沙目前中心位置在鵝鑾鼻南南東方海面,並持續向西北西前進,其暴風圈正逐漸進入恆春半島,對台東、屏東、恆春半島及高雄將構成威脅。氣象署也持續發布海上、陸上颱風警報,預計今 (22)、明 (23) 兩日是風雨最劇的時刻。

今 (22) 日屏東縣枋山、車城、恆春、獅子、牡丹、滿州;花蓮縣馬太鞍溪堰塞湖保全戶與部分校園 (光復國中、光復國小、太巴塱國小);蘭嶼、綠島已宣布停班停課。氣象粉專「台灣颱風論壇|天氣特急」則分析指出,「未來12小時,將是樺加沙最顛峰的狀態!」其強度和暴風圈還有機會再增強。

據氣象署最新風雨預報,今 (22) 日下午2點至明 (23) 日下午2點,雨量預報達停班停課標準地區包含花蓮縣山區、台東縣山區;風力預報達停班停課標準地區則包含桃園市、新竹市、新竹縣、苗栗縣濱海鄉鎮,以及恆春半島、台東縣濱海鄉鎮、蘭嶼綠島、連江縣、金門縣。不過是否會放颱風假,仍得依各地方政府決定。

樺加沙不論是強度或體型已穩居今年的「風王」,儘管不會直撲台灣,其外圍環流仍將帶來強風及致災豪雨威脅,威力絕不可小覷……【更多內容請到下方延伸閱讀】

圖片來源 / 翻攝自中央氣象署
▸ 今年最強風王!老天有保佑 台灣閃過「怪物等級」樺加沙原因曝▸ 楓葉姊姊「超正同事」竟是台灣人!美顏濾鏡內幕全說了▸ https://www.teepr.com/1842660/valentinawu/%e9%a2%a8%e7%8e%8b%e6%a8%ba%e5%8a%a0%e6%b2%99/
(往下還有更多精彩文章!)